В фокусе Туринской плащаницы

Многие годы мы слышали о Туринской плащанице, но мало кто представлял себе грандиозный масштаб развернувшейся вокруг нее дискуссии. Теперь эта проблема живо обсуждается и в нашей стране: организован Российский центр Туринской плащаницы, только за последние месяцы опубликовано несколько пространных статей в серьезных и несерьезных изданиях, телевидение посвящает этой теме свои программы. В фокусе Туринской плащаницы скрестились многие научные, исторические и богословские проблемы. Однако среди них пока нет проблем астрономических.

Кто же дал право вступать в дискуссию мне, астроному?

Это право дает мне любовь к науке и желание поддержать у моих сограждан чувство здравого смысла.

Мне странно слышать от авторов некоторых выступлений о стремлении ученых отмахнуться от проблемы Туринской плащаницы, о неспособности науки разгадать природу этого исторического памятника. Разумеется, все это не так: любой документ XIV века (и уж тем более I века!) бесконечно ценен для науки, для истории культуры. Именно поэтому так придирчиво стремятся ученые установить его подлинность. Установить истинную, а не мифическую историю Туринской плащаницы – цель научного исследования. К сожалению, этот памятник культуры в полной мере так и не попал в руки ученых. Но и то немногое, что уже удалось сделать квалифицированным исследователям, некоторые «комментаторы» упоминают вскользь или с явными искажениями.

Поэтому я хочу представить на суд читателей некоторые материалы, опубликованные в изданиях Комитета по научному расследованию заявлений о паранормальных феноменах (Committee for the Scientific Investigation of Claims of the Paranormal = CSICOP). Это весьма уважаемая международная организация ученых-скептиков (а су шествуют ли иные ученые?), имеющая целью объективную проверку сообщений о необычных явлениях – от НЛО и телекинеза до хиромантии и астрологии. В нашей стране существует и дружественная CSICOP организация – Российское гуманистическое общество (РГО) со своим журналом «Здравый смысл». Осенью 2001 года в Москве по инициативе РАН и МГУ силами РГО и CSICOP был организован международный симпозиум «Наука, антинаука и паранормальные верования». На нем обсуждалась и Туринская плащаница. Здесь я привожу наиболее интересные, на мой взгляд, данные научных исследований плащаницы, собранные экспертами CSICOP. Надеюсь, это даст читателям журнала дополнительный материал для размышлений над интереснейшей исторической загадкой.

Отношение католической церкви к Туринской плащанице

Научный интерес к этой реликвии пробудился в 1898 году. До того времени господствовало убеждение, что изображение на плащанице нарисовано красками. Но первые фотосъемки полотна показали, что изображение на нем выглядит, как фотографический негатив. Это побудило некоторых исследователей заявить, что изображение является нерукотворным, что ни один художник не смог бы добиться такого жизнеподобия, которое проявилось на фотографических негативах. Однако все попытки получить изображение человеческого тела на холсте иными, нехудожественными средствами оказались безуспешными.

Католическая церковь никогда не делала официального заявления по поводу подлинности плащаницы. В XX веке плащаница несколько раз выставлялась для публичного обозрения; последние ее показы проводились в 1978, 1998 и 2000 годах. После выставки 1978 года к плащанице был разрешен ограниченный доступ исследователей. Тогда группа ученых, в основном из США, провела первое всестороннее обследование реликвии. Полученные результаты были представлены в 1981 году на выставке, организованной в Коннектикутском университете в Гротоне. Был сделан вывод, что на плащанице изображена реальная фигура человека, подвергнутого избиению плетьми и распятию на кресте. Отмечалось, что пятна крови содержат гемоглобин.

Верующие в подлинность плащаницы утверждают, что на ней изобразилось тело Иисуса под действием энергии, исходящей из него во время воскресения. Однако в 1989 году после радиоуглеродных исследований (используемых для определения возраста предметов органического происхождения), независимо проведенных учеными трех различных лабораторий, было доказано, что плащаница изготовлена не ранее XIII века. Допуская истинность этого вердикта, католическая церковь призвала своих членов почитать плащаницу как живописное изображение Христа.

Католическая церковь не признает Туринскую плащаницу как реликвию и официально считает ее иконой. «Плащаница является отображением, рассказом в иносказательной форме о страданиях Христовых, описанных в Евангелии», – поясняет вице-президент комиссии по плащанице, толкователь библейских текстов Дон Джузеппе Гиберти.

Во время публичного показа плащаницы в Турине 24 мая 1998 года папа Иоанн Павел [1 в своей приветственной речи сказал: «Плашанинабросает вызов нашему интеллекту. Она открывает свой сокровенный посыл только тем, кто наиболее близок ей своим смиренным и в то же время живым умом. Ее таинственное свечение ставит вопросы о происхождении и жизни исторического лица – Иисуса из Назарета. И так как это не имеет никакого отношения к вопросам веры, то церковь не может взять на себя смелость и ответить на них. Она доверяет науке задачу исследования того, что же случилось с полотном, в которое, по преданию, было завернуто тело нашего Спасителя. И церковь при этом настаивает, чтобы результаты исследования плащаницы были представлены общественности. Она предлагает ученым работать с чувством внутренней независимости и в то же время с вниманием к чувствам верующих.

Для нас, христиан. Туринская плащаница прежде всего является зеркалом евангелизма. И когда мы при этом рассматриваем изображение, мы чувствуем глубочайшее успокоение, видя очевидную связь с тем, что сообщает нам Евангелие о страданиях и смерти нашего Господа Бога. Каждый приближающийся к покрывалу замечает, что плащаница не вызывает почтения к себе, а указывает на того, чье доброе провиденье доставило оно нам. И мы должны всегда осознавать это драгоценное значение изображения Иисуса, которое мы видим здесь перед собой. Таким образом, плащаница является единственным в своем роде знаком, указывающим на Иисуса Христа, воплощенное слово Создателя, и призывает нас сверять нашу жизнь с ним, который пожертвовал собой ради нас»[* Цитата сокращена; ее полный текст можно найти на сайте www.vatican.va/holyfather/johnpaul н/ travels/documents/hfjp-iispe 24051998 sindone en.httnl)].

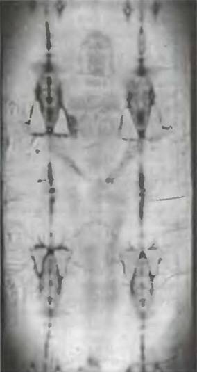
Туринская плащаница в развернутом виде: – негатив, ниже – позитив

Кто изображен на полотне?

Несмотря на официальное мнение католической церкви, многие верующие считают Туринскую плащаницу святой реликвией. К выставке 1998 года появились книги поданной теме, и все они старались доказать «подлинность» покрывала в смысле его причастности к биографии Христа. Такие исследователи плащаницы называют ее словом «синдон», а себя – «синдонологами».

Это слово имеет греческое происхождение и изначально относилось к куску ткани, который можно использовать и как плащаницу (это отличает ее от лицевого платка для вытирания лота). Среди сторонников подлинности плащаницы основную роль играет группа STURP (Shroud of Turin Research Project) из CLUA.

Основным гезисом синдонологов служит утверждение, что после снятия с креста Иисуса положили на покрывало, в которое затем и завернули тело. Поэтому контур тела отпечатался на холсте. Другие утверждают, что Христос «оставил своей церкви образ: поскольку тогда не существовало фоторепортеров, он сотворил чудо. В момент своего воскрешения в пасхальное утро он произвел вспышку света, вспышку огромной энергии. Иначе, как установлено современной атомной теорией, сохранение его изображения на полотняном покрывале было бы невозможно». Для доказательства того, что это именно Иисус Христос, синдонологи ссылаются на большое количество признаков изображения на покрывале, которые согласуются с библейскими данными[* Подробнее об этом можно узнать на официальном сайте «выставки синдона» 1998 года: www.regicme.piemonte.il/speciali/sindone.].

Поклонники плащаницы также указывают на другие предметы с изображением Христа, которые существовали до XIV века: монеты, медальоны и прочее. Они убеждены: сходство изображенных на них ликов Христа доказывает, что еще до XIV века Туринская плащаница использовалась как оригинал для изготовления монет и других произведений искусства.

Однако скептики с этим не согласны. Если внимательно приглядеться, говорят они, то можно заметить, что сходство старинных изображений Христа с изображением на плащанице не так уж велико. Единственное совпадение только в том, что везде это изображение длинноволосого, бородатого мужчины. Даже если эти изображения имеют сходство с изображением на Туринской плащанице, нужно ответить на вопрос о том, а не было ли само покрывало создано по какому-либо художественному оригиналу. Иными словами, все совпадения можно объяснить общностью традиций и стремлением к их сохранению. И для того чтобы проследить это возможно дольше, нужно совершить экскурс в теорию искусств. Еше великий теолог Августин жаловался, что нет никакой возможности узнать, как выглядел Иисус. С течением времени менялось и представление художников об облике Христа. До III века Иисуса изображали с короткими волосами и без бороды. И только позже появились изображения бородатого, длинноволосого Христа. Изображение на Туринской плащанице довольно точно соответствует традициям искусства XIV века. Тот факт, что в то время были модны одноцветные изображения, усиливает предположение о том, что здесь мы имеем дело с работой художника.

Историки отмечают, что в библейские времена евреи хоронили своих покойников со скрещенными на груди руками. Руки, сложенные на гениталиях, как изображено на плащанице, впервые появились на картинах с XI века и были уступкой стыдливости того времени. Покойников во времена Христа хоронили голыми и бритыми, что тоже не соответствует изображению на плащаниие, считает руководитель германского общества скептиков Ашрдео Сарма.

Техника изображения

Что касается предположения о «чудесном негативе», то изображение на Туринской плащанице не является подлинным негативом, поскольку волосы и кровь на нем выглядят темными, тогда как должны были бы казаться светлыми, разумеется, если Иисус не был блондином или седым, что маловероятно.

Если принять гипотезу, что Туринская плащаница действительно зафиксировала подлинное тело Христа, то в глаза бросается ряд нелепостей:

– когда покрывало лежит на теле, оно прилегает к поверхности этого тела. Следовательно, отпечаток на той части, которая обволакивает, скажем, лицо, должен быть больше изображения лица, когда мы смотрим на него спереди. Даже при наличии идеальных условий и использовании еще не известного способа получения изображения, например, такого, как «выпаривание», покрывало должно быть жестко закреплено над телом на каком-то каркасе, чтобы получилось неискаженное двумерное изображение. Иначе, когда мы снимем и разложим покрывало, привычные пропорции тела будут на изображении искажены. Но на плащанице нет таких искажений;

– совершенно отсутствуют пустые места, которые должны появляться из-за складок. Изображение слишком гладкое для того, чтобы быть подлинным;

– отпечаток окровавленных ступней на покрывале геометрически не соответствует положению ног. Ступни лежащего человека обычно направлены пальцами вверх, а здесь ступни подошвами стоят на покрывале и тогда колени должны быть согнуты;

– волосы человека, изображенного на Туринской плащанице, не спадают вниз, как это бывает у лежащего человека, а обрамляют лицо, как на плохих картинах;

– руки и пальцы различной длины; так, одна рука на 10 сантиметров длиннее другой;

– кровь течет так, как это бывает на какой-нибудь мазне, по небольшой канавке и не сворачивается, что было бы естественно. Тот, кому хоть раз попадала кровь на одежду, знает, какие безобразные пятна образуются при этом. Со временем они чернею]. А кровь на покрывале все еще красная.

В своей книге «Иисус умер не на кресте» Грубер и Керстен (1998) пытаются привести экспериментальные доказательства использования метода «выпаривания». После того как Керстен побывал в сауне и намазался маслом, он лег под полотняное покрывало. Появился отпечаток одной стороны его тела, однако без черт лица. Судя по фотографиям, приведенным в его книге, отпечаток тела совершенно четко расширен в области бедер. В отличие от плащаницы, не заметно «удлинения» обеих рук. Даже при контролируемых, идеальных условиях четко проявляются определенные признаки отпечатка трехмерного оригинала, а на Туринской плащанице они не заметны.

Кровь или краска?

Этот вопрос многие считают важнейшим, однако он же и наиболее запутанный. Два химических анализа ткани и вещества на ней были предприняты с согласия католической церкви еще в 1970-е годы. Первый анализ провела итальянская комиссия в 1973 году. Профессора Джиорджио Фраке, Эуджения Ридзатти и Эмилио Мари обнаружили на ткани красноватое гранулированное вещество. Все специальные тесты на кровь дали отрицательный результат. Профессора Гуидо Филогамо и Альберто Дзина обнаружили красноватые овальные частицы диаметром 0,5-0,7 микрона.

Во время проведения второго анализа в 1978 году основную роль играла фуппа STURP. Эксперты наложили 32 клеевые полоски на покрывало и затем осторожно их содрали. Полоски разрезали на две части и отдали Уолтеру МакКрону и Рею Роджерсу. Эти микроаналитики исследовали частички вещества и волокна покрывала, прилипшие к клеевым полоскам. В частности, МакКрон не обнаружил следов жидкости или каких-либо других признаков трупа. Ему удалось найти всего лишь неорганические компоненты, прежде всего окись железа (ржавчину). Поскольку Мак- Крон считал возможным античное происхождение покрывала, он сделал вывод, что краска была использована дополнительно для более выразительной реставрации пожелтевших пятен, оставленных телом на покрывале.

Фрагмент плащаницы с человеческим ликом

При подробном изучении волокон МакКрон нашел на них два компонента: растворимая в воде краска темпера с окисью железа (железистая охра) и с киноварью. Этот второй компонент использовался старыми мастерами как алый цвет, и получали они его из сернистой ртути. Частицы этих двух компонентов отождествляются вполне уверенно. МакКрону удаюсь показать, что обнаружить железистую охру можно только в области самого изображения, и ее нет в контрольных областях покрывата. А краска из сернистой ртути встречается исключительно в «кровавых» областях. Тот факт, что в живописи XIII и XIV веков киноварь часто использовалась для изображения крови, только усиливает предположение о покрывале как о произведении искусства. Наряду с этим МакКрон нашел и следы других частиц, причем многие из них типичны для малярных красок. Все это укрепило МакКрона во мнении, что покрывало могло время от времени попадать в мастерскую художника.

Факты постепенно склонили Мак- Крона к мысли, что плащаница – искусственное изделие. Но когда он поделился своими выводами с другими членами группы STURP, то встретил сопротивление. У него отобрали клеевые полоски, и он не смог продолжить исследование. Ему было запрещено сообщать о своих результатах без согласия группы. Со временем МакКрон потерял надежду переубедить своих прежних соратников и приостановил свое членство в STURP. И наконец, он начал публиковаться в различных журналах, в результате чего смог найти согласие с непредубежденными учеными.

Усилия по химическому анализу плащаницы продолжаются, однако на ткани не удалось найти никаких других существенных составляющих крови, например калия, которого в крови в три раза больше, чем железа. Правда, позже появились сообщения, что на покрывале найдены следы ДНК. Наличие ДНК может, конечно, свидетельствовать в пользу наличия крови, но это очень слабый свидетель. После того как столько людей на протяжении столетий имели дело с покрывалом, было бы чудом, если бы на нем не было найдено никаких человеческих следов.

Возраст ткани

Исследователи Туринской плащаницы пытались разгадать ее тайну многими изощренными методами, скажем, исследуя застрявшие в ткани частицы пыльцы растений, которые могли бы поведать о географии ее перемещений. Но самым простым и надежным методом, очевидно, является радиоуглеродное измерение возраста ткани. Напомним, что радиоуглеродный метод – это способ определения возраста органического вещества, в котором используется распад радиоактивного изотопа углерода С-14. В археологии это один из важнейших методов датировки.

В 1970-е и 1980-е годы исследователи часто требовали разрешения на проведение точной, радиоуглеродной датировки плащаницы. Однако в 1970-е годы для проведения исследования нужно было использовать большое количество ткани покрывала, и разрешение не было получено. Но позже техника усовершенствовалась, и сейчас можно определить возраст, обладая малым количеством ткани. Это обстоятельство и облегчило католической церкви в 1988 году принятие решения об определении возраста плащаницы.

Первоначально для исследований было выбрано семь лабораторий. Это было зафиксировано в так называемом Туринском протоколе специалистами по датировке под руководством председателя научного совета Ватикана. К тому же были намечены детали взятия образцов, чтобы потом не было повода для критики. Однако позже число лабораторий было сокращено до трех, что вызвало недовольство ученых: они опасались, что небольшие отклонения из-за случайных ошибок при исследовании одного из трех образцов дадут повод сомневаться в надежности исследований. Семь образцов, разумеется, значительно уменьшили бы риск. Оказалось также, что была изменена методика отбора образцов. Ученым из лабораторий не разрешалось больше непосредственно присутствовать при взятии тканевых образцов. В конце концов, покрывало было исследовано тремя научными коллективами: в лаборатории геофизики Аризонского университета (Тусон, США), в лаборатории археологии и истории искусства Оксфордского университета совместно с лабораторией Британского музея (Англия), а также в Институте физики Цюриха (Швейцария). Результат оказался однозначным: с учетом всех возможных неопределенностей исследователи заключили, что ткань покрывала возникла в период между 1260 и 1390 годами. Этот результат убедительно подтверждает гипотезу о том, что Туринская плащаница является работой художника XIV века

Все еще только начинается…

Казалось бы, радиоуглеродное датирование должно было поставить точку в истории с плащаницей. Как бы не так! Сразу же после публикации этих результатов появились сомнения, связанные с отклонением от Туринского протокола при процедуре взятия пробы; напомню – на отклонениях настояла церковь. Действительно, непрерывная и документированная идентификация образцов не была проведена. Упаковки образцов осматривались только тремя представителями церкви, и, к сожалению, все это не фиксировалось фотокамерой. В среде журналистов это неизбежно привело к возникновению теории о заговоре.

Однако независимые эксперты считают, что образцы взяты честно и исследование выполнено на высоком уровне. У всех трех лабораторий в пределах ошибок совпал не только возраст плащаницы, но и возраст контрольных образцов двух других исторических тканей, даты рождения которых историкам точно известны. И все же этот случай показывает, что может произойти, когда исходя из политических или церковных интересов происходит отклонение от установленной процедуры. Опасение, что случайное отклонение, полученное в одной из трех лабораторий, поставит под вопрос обший результат, не оправдалось. Но отсутствие безукоризненно выполненного протокола исследования все же дало повод для различных спекуляций.

В России серьезных публикаций о Туринской плащанице и тем более о связанных с ней исследованиях было немного: ведь никто из нас не держал ее в руках, да и маю кто вищел. Поэтому мой интерес привлекла статья в «Вестнике Российской академии наук» (Фесенко и др.; 2001), в которой ответственные сотрудники Института криминалистики и Министерства юстиции РФ поставили под сомнение радиоуглеродный возраст плащаницы. Как говорится, за дело взялись профессионалы! Они отметили, что пострадавшая от пожара 1532 года плащаница по историческим данным подверглась реставрации, в процессе которой ее могли пропитывать растительными маслами и таким образом привнести в ее состав свежий органический материал, способный существенно изменить соотношение изотопов углерода (С-14 / С-12). Авторы статьи экспериментально показали, что методика подготовки образцов плащаницы к радиоуглеродному исследованию, использованная, в частности, специалистами Оксфорда, не обеспечивает полного удаления из ткани плащаницы высохшего растительного масла. Встает вопрос: насколько это могло «омолодить» плащаницу?

И вот туг авторы статьи допустили промах: они сделали расчет, исходя из предположения, что неотмытое растительное масло привнесло в ткань лишь радиоактивный изотоп углерода (С-14), тогда как, на самом деле, ткань в результате загрязнения свежим природным углеводородом могла обогатиться только природной смесью изотопов углерода. Эта ошибка обошлась авторам статьи дорого: их вывод гласит – ткань, изготовленная 2000 лет назад, в результате указанного загрязнения вполне может дать средневековый радиоуглеродный возраст. Но аккуратный расчет показывает, что это не так: загрязнение маслом могло сдвинуть возраст плащаницы лишь на несколько десятков лет. Жаль, что нашим криминалистам не удалось сказать своего слова в «плаща ни целогии». По правде сказать, мне трудно понять причину их столь элементарного промаха. Ведь решалась школьная задача!

Впрочем, промахи и даже подвохи допускались и раньше. Наг.ример, в 1989 году физик из лаборатории высоких энергий Гарвардского университета Томас Филлипс предположил, что в момент воскресения Христа его тело испустило мощный импульс тепловых нейтронов (а почему бы и нет – что мы знаем о физике воскресения?). При этом некоторые ядра изотопа С-13, захватывая нейтроны, могли превратиться в ядра С-14, «омолодив» таким образом ткань плащаницы с точки зрения радиоуглеродных исследований. Хотя всем было ясно, что эта идея относится к разряду «Физики шутят», она была тщательно проанализирована специалистами. Были найдены аргументы, например, нормальный изотопный состав других элементов, полностью отвергающие эту гипотезу. Так закончилась нормальная научная дискуссия.

В качестве курьеза отмечу, что неверное решение задачи про «омоложение» плащаницы, полученное в работе Фесенко и др., совершенно верно описывает ситуацию, рассмотренную Филлипсом. Так в «деле о плащанице» добавилась еще одна загадка. Думаю, их будет еще много. Ведь Туринская плащаница – не столько объект научного исследования, сколько фокус идеологических и социальных проблем.

История современности

Более 800 000 книг и аудиокниг! 📚

Получи 2 месяца Литрес Подписки в подарок и наслаждайся неограниченным чтением

ПОЛУЧИТЬ ПОДАРОК